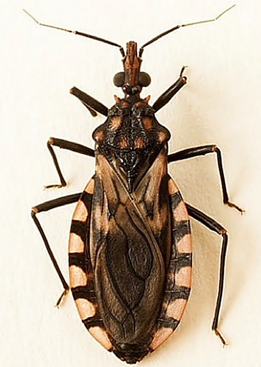
El Día Nacional por una Argentina sin Chagas se conmemora el último viernes de agosto de cada año por iniciativa del Ministerio de Salud de la Nación, desde 2011. En la jornada, desde el Hospital Zonal de Tartagal informó que este 2022 se han detectado 35 mujeres cursando un embarazo congéntio de Chagas, resultado de infección crónica por el parásito que transmite la vinchuca; el Tripanosoma cruzi.
El Lic. Carlos Leaplaza; jefe del sector de Epidemiología del Hospital “Juan Domingo Perón”; recordó que el trabajo de contención y estudio entomológico de la vinchuca (agente vector del Chagas) está a cargo del Programa Nacional de Control de Vectores, concentrando el trabajo principalmente en las las zonas de Rivadavia Banda Sur y Santa Victoria Este. “En Tartagal tenemos casos de embarazos congénitos (…) en 2022 hemos registrado a 35 mujeres”, completó.

En la provincia, los departamentos considerados endémicos por la presencia de vinchucas son San Martín, Rivadavia, Anta, Metán, Rosario de la Frontera, San Carlos y Cafayate. Control de Vectores y organismos de salud provincial trabajan actualmente en el departamento Rivadavia; en total 1.121 viviendas en Morillo, La Unión y Santa Victoria Este, donde se ejecuta el rociado con insecticida en viviendas donde hay presencia de vinchucas. Por último, Leaplaza subrayó que en 2019 se notificó el último caso vectorial de Chagas en Salta y desde allí en adelante fueron notificaciones de casos congénitos.
El tratamiento que sigue un paciente confirmado con la enfermedad consiste en la ingesta de antiparasitarios por 60 días (en Argentina existen dos medicamentos, Benznidazol y Nifurtimox), completando con controles médicos. “El mayor riesgo para una persona son las cardiopatías”, continuó, “el parásito se encuentra activo toda la vida del infectado y por eso no puede donar sangre ú órganos (…) los servicios de salud siempre realizan el testeo para registrar un positivo de Chagas, como también se hace con otras posibles afecciones”, cerró.



